ABD Irma'yı bekliyor

ABD hızı 300 km'ye çıkan Irna kasırgasını bekliyor. Büyük bir süratle karaya yaklaşan hava akımı, ABDlileri korkutuyor.

ABD Irma'yı bekliyor

ABD hava olayarı açısından en zorlu dönemden geçiyor. Önce Harvey Kasırgasını atlatan ülkede bu sefer Irma Kasırgası bölgeye yaklaşıyor. Hızı saatte neredeyse 300 km'ye ulaşan ve her an daha da güçlenen fırtına kara parçasına yaklaşıyor.

ABD Irma'yı bekliyor

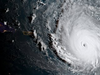
SON ZAMANLARIN EN BÜYÜĞÜ

Karayipler ve ABD'nin Florida bölgelerinde etkili olacak kasırga, son 10 yılın en büyük fırtınalarından biri olacak. Kasırganın görüntüleri Uluslararası Meteoroloji Merkezi Kasırgalar ve Fırtınalar Merkezi tarafından uzaydan görüntülendi.

ABD Irma'yı bekliyor

ÖNLEMLER ALINIYOR

Kasırganın yıkıcılık sıralaması bölge yetkililerince en yüksek derece olan kategori 5'e yükseltilirken Irma Kasırgası'nın geçtiğimiz günlerde ABD'nin Teksas eyaletini etkisi altına alan Harvey Kasırgası'ndan da şiddetli olması bekleniyor.

ABD Irma'yı bekliyor VİDEO

ABD Irma'yı bekliyor

"Canavar Kasırga" olarak adlandırılan hava olayı bölge halklarını alarma geçirdi. Marketlere ve yapı marketlerine akın eden halk erzak, su ve yapı malzemeleri aldı. Marketlerin rafları bomboş kaldı.

ABD Irma'yı bekliyor

Bölgedeki yapıların büyük bir kısmı fırtonaya hazır hale getirilmeye çalışılıyor. Binaların pencereleri ve açıkta bulunan alanalrı emtal saçlarla kaplanıyor, kapılara ve çatılara tahtalar çakılıyor.

ABD Irma'yı bekliyor

AFET EKİPLERİ HAZIRDA

Hızla yaklaşmakta olan dev kasırgaya karşı afet ekipleri de hazırda bekliyorlar. Günlerdir uydu görüntülerini devamlı inceleyen eden yetkililer, an be an her duruma karşı hamle yapabilmek adına canlı olarak takip ediyor.

ABD Irma'yı bekliyor

ABD Irma'yı bekliyor

ABD Irma'yı bekliyor

ABD Irma'yı bekliyor

ABD Irma'yı bekliyor