İran’da uzun süren kuraklığın ardından başlayan yağışlar, ülkenin batı ve güneyinde sele yol açtı.
İtalya'nın kuzey bölgelerinde etkili olan aşırı yağışlı hava koşullarının, sel ve taşkınlara yol açtığı ve Gorizia kentinde toprak kayması sonucunda 2 kişinin kaybolduğu bildirildi.
Kalmaegi Tayfunu'nun vurduğu Filipinler'de ölü sayısı 114'e çıktı. Devlet Başkanı ulusal afet durumu ilan etti. NDRRMC'nin açıklamasına göre, tayfunun etkileri şiddetli rüzgar ve sellerle kendini gösterdi.
Haiti ve Jamaika'da Melissa Kasırgası'nın neden olduğu sel felaketinde hayatını kaybedenlerin sayısı 75'e yükseldi.
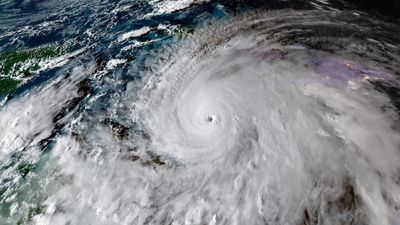
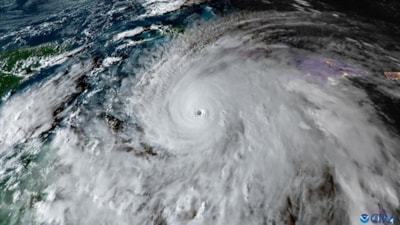
Karayipler’de etkili olan Melissa Kasırgası, Jamaika’ya ulaştı. Saatte 295 kilometreye kadar ulaşan rüzgar hızıyla 5’inci kategoriye ulaşan kasırga, Atlantik havzasında kayıtlara geçen en şiddetli fırtınalardan biri olarak kaydedildi.
Kentte öğle saatlerinde başlayan ve hayatı olumsuz etkileyen yağış sonrası alt geçitler, cadde ve sokaklar göle döndü. Yağışa hazırlıksız yakalanan vatandaşlar, iş yerleri ve kapalı alanlara sığındı.
Foça ilçesinde 23 Ekim’de yaşanan sel felaketinde hayatını kaybeden 70 yaşındaki emekli bankacı Bülent Kaptanoğlu, bugün düzenlenen törenle toprağa verildi.
Şiddetli yağış nedeniyle Osmaneli ilçesini Sakarya'ya bağlayan kara yolunda ulaşım aksarken, ekiplerin çalışması ile yolun yeniden ulaşıma açıldığı öğrenildi.
İzmir'in Foça ilçesinde etkili olan sağanak yağışın ardından sokaklar çamurla kaplandı. İlçede selin bıraktığı tahribat, drone ile havadan görüntülendi.
İstanbul'da saat 15:00'ten sonra etkili olması beklenen lodos ve sağanak yağışla ilgili uyarı yapıldı.
Çanakkale’nin Gökçeada ilçesinde gece etkili olan sağanak yağış sele yol açtı. Bazı ev ve iş yerlerini su basarken, köy yolunda toprak kayması meydana geldi.
Bodrum’da gece başlayan sağanak yağış, bazı bölgelerde su taşkınlarına neden olurken güneşin yüzünü göstermesiyle sahillerde hareketlilik yaşandı. İlçede yağmur ve güneşin aynı gün yaşattığı manzaralar dikkat çekti.
Hatay’da şiddetli yağış nedeniyle suyla dolan alt geçitte mahsur kalan engelli kadın, ölüm tehlikesi atlattı. İtfaiye ekiplerinin zamanında müdahalesiyle kadın güvenli bir şekilde kurtarıldı.
Meksika'da etkili olan şiddetli yağışlar sonucu meydana gelen sellerde hayatını kaybedenlerin sayısının 76'ya yükseldiği bildirildi.
Ülke genelinde şiddetli yağışların yol açtığı sellerde hayatını kaybedenlerin sayısı 64'e yükseldi, kayıp 65 kişi ise aranıyor.
Meksika'da şiddetli yağışların yol açtığı seller nedeniyle yaşamını yitirenlerin sayısı 64'e, kaybolanların sayısı 65'e yükseldi.
Nijerya'da, 2025 yılında şiddetli yağışların yol açtığı sel felaketleri nedeniyle 236 kişinin hayatını kaybettiği bildirilerek seller nedeniyle ülkenin 117 bölgesinde binlerce kişinin ise yerinden olduğu aktarıldı.
Meksika'da şiddetli yağışların yol açtığı seller nedeniyle ilk belirlemelere göre 42 kişi hayatını kaybetti, 27 kişi kayboldu.
Kentte gerçekleştirilen tatbikatta olası sel afetine karşı İl Afet ve Acil Durum Müdürlüğü (AFAD) öncülüğünde 110 personel senaryo gereği selde mahsur kalanları kurtardı.
Bulgaristan'ın Karadeniz kıyı şeridinde şiddetli yağışların yol açtığı selde 3 kişinin hayatını kaybettiği bildirildi.