Suyunu emdikleri sebze ve otlardan beslenen böcek türü, bitkinin kurumasına neden oluyor.
Doğu Karadeniz Bölgesi'nde 2007'den itibaren görülmeye başlanan, özellikle yaz aylarında ortaya çıkan ve 'vampir kelebek' olarak bilinen böcek türü, bu yıl da yumurtadan çıkarken, tarım alanlarında görüldü.
Bitkilerin zayıflayıp, kurumasına neden olan böceklerle mücadele için laboratuvar ortamlarında geliştirilen bitkisel ilaçlar kullanılacak.
VAMPİR KELEBEK, TARIM ÜRÜNLERİNE TEHDİT
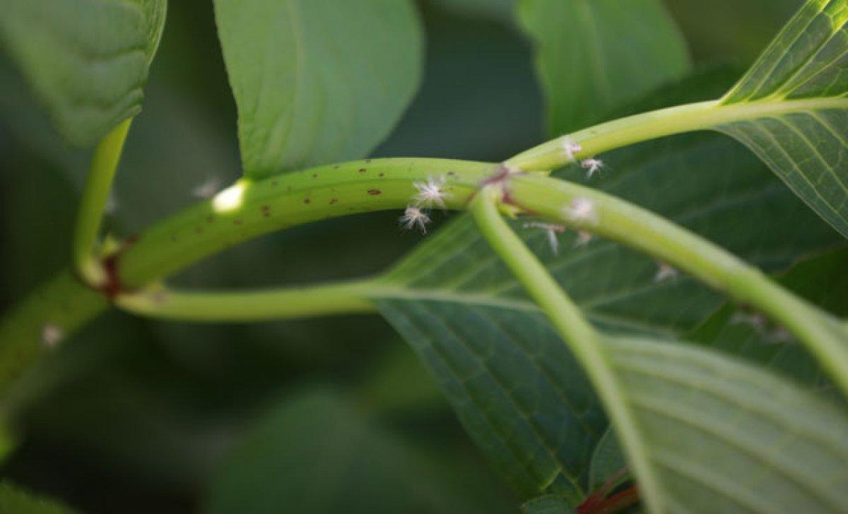
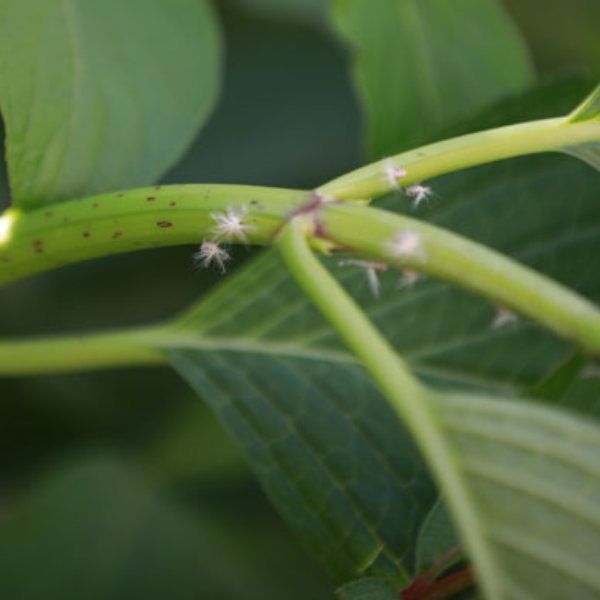
Halk arasında 'vampir kelebek' diye bilinen 'Ricania simulans' adlı böcek türü, tarım ürünlerini tehdit ediyor. Genellikle açık gri renkte olan ve rahatsız edildiğinde hızla zıplayabilen böceklerin, özellikle suyunu emdikleri sebze ve yabancı otlardan beslenerek, kurumasına neden olduğu belirlendi.
Sayıları her geçen yıl artan böcekler, mevsim şartları nedeniyle bu yıl yumurtadan geç çıktı. Yavru dönemindeki böcekler, son günlerde bitkilerin taze sürgünlerinin üzerinde görülmeye başlandı. Taze sürgünün üzerine yapışarak, bitkinin öz suyunu emen böcekler, bir süre sonra ergin döneme geçecek.

Sayılarının artmasıyla bitkilere ve yeşil örtüye zarar vererek kurumasına neden olan böcek için Recep Tayyip Erdoğan Erdoğan Üniversitesi Kimya ve Biyoloji Laboratuvarları'nda geliştirilen bitkisel ilaçlarla mücadele edilecek.
"ALAN DENEMELERİNİ GERÇEKLEŞTİRECEĞİZ"
Recep Tayyip Erdoğan Üniversitesi Zooloji Ana Bilim Dalı öğretim üyesi Mustafa Akıner, yumurtadan çıkan yavru kelebeklerin artık alana yayılmaya başladığını belirterek, şunları kaydetti:
“Kelebekler şu anda yavru dönemindeler. Bu yıl mevsim şartlarının kötü gitmesi dolayısıyla mayıs ayında çıkması gereken yavrular haziran ayına sarktı ve yeni yeni alanlarda görülmeye başlandı. Bu süreçte de her yeni sürgünü olan bitkinin üzerinde bulunabiliyor, evdeki çiçekten bahçedeki fasulyeye kadar. Temmuz ağustos gibi ergin döneme geçilecek ve sonrasında yumurtlama evresi gelecek.

Yumurta aşamasında atık bitkilerin imha edilmesi ile kurtulacağımız yalancı kelebeğin yumurtadan çıkması ile beraber artık mücadele anlamında yeni bir faza geçtiğimiz anlamına geliyor. Tarım ve Orman Bakanlığı'nın önerdiği ancak çay alanlarında kullanımının yasak olduğu birkaç ilaç var. Vatandaşlar bunları alarak bahçelerinde talimata uygun şekilde kullanabilirler. Kimya ve biyoloji bölümü olarak denediğiniz birkaç bitkisel ilaç var. Bunların hepsinin laboratuvar denemeleri tamamladık. Yavru ve erginler üzerinde etkili olduğunu gördüğümüz biyolojik preparatların alan denemelerini gerçekleştireceğiz.
Umut ediyoruz ki laboratuvarda etkin gördüğümüz bitki özütlerinin sahada da etkinliklerini test etmiş ve daha sonraki aşamaları için yeni bir yol kat etmiş olacağız. Sadece bitkisel kökenli ilaç değil çeşitli mantar türlerini de çalışıyoruz. Mantar türlerinin etkili olduğu çeşitli araştırmacılar tarafından beyan edilmiş durumda. Biz de laboratuvar denemeleri ve alan çalışmalarımızda bunları gördük. Bunlarla ilgili çalışmalarımıza devam edeceğiz.”

FASULYELERİ, BİBERLERİ SARDI
Bahçesine sebze eken Ayşe Küçükmustafa da böceklerin yeniden görülmeye başlandığını belirterek, “Yeni sürgünler hep bembeyaz oldu, bu kelebeğin yavruları hep sardı sebzelerimizi. Bahar başlıyor, bağ bahçe yapıyoruz ama ne yazık ki sonuçta hiçbir şey yiyemiyoruz. 'Daha bir şey ekmeyeceğim’ diyorum dayanamıyorum. Bu yıl da ektim. Şimdi fasulyelerin, biberlerin tepelerini sarmış durumda. Bir süre sonra kurutacak, çektiğimiz eziyet bize kalacak. ‘Tarım ve Orman Bakanlığı bir ilaç çıkardı’ dediler ama kimse denemeden ben denemem. Çektiğim eziyet havaya gitsin ama canım gitmesin.” diye konuştu.

"ÇAYA DADANIRSA ÇAY DA YOK OLACAK"
Nuri Küçükmustafa da "Bu kelebek çıktığından beri sebze yiyemiyoruz, meyveler zaten yok, çaya dadanırsa çay da yok olacak. Bu kadar emek ediyoruz, hep boşa çalışıyoruz, bir şey yiyemiyoruz. Artık bir ilacını bulsunlar yoksa ne olacak bu hal?" dedi.

