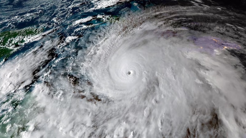
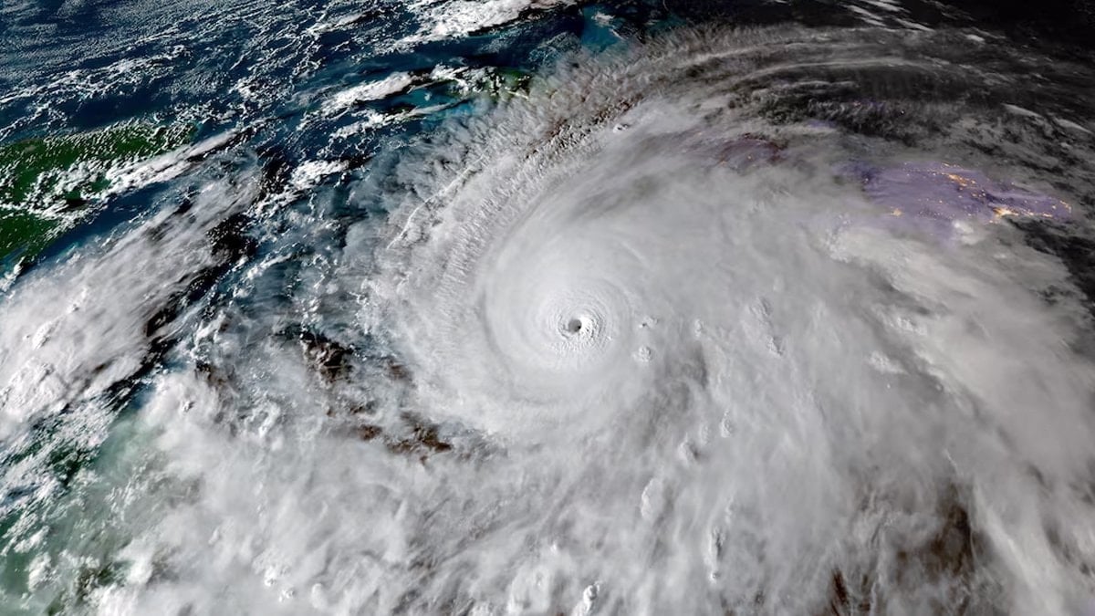
- Melissa Kasırgası, saatte 295 km hıza ulaşıp Jamaika'yı vurdu; bu, kayıtlara geçen en kuvvetli fırtınalardan biri oldu.
- Jamaika'da elektrik kesintileri ve sel ile heyelan riskleri artarken, yetkililer halkı sığınaklara gitmesi konusunda uyarıyor.
- Kasırganın Küba ve Bahamalar'a ulaşması bekleniyor ve daha sonra şiddetini azaltarak kategori 2 seviyesine ineceği tahmin ediliyor.
Jamaika teyakkuzda...
Yetkililer, bazı koy ve körfezlerde dalgaların 4 metreye kadar yükselebileceğini ve ani sel ile heyelan riskinin bulunduğunu duyurdu.
Kasırga nedeniyle ülkede yaklaşık 240 bin hane elektriksiz kalırken, kurulan 800’den fazla sığınakta 6 bin civarında kişi barındırılıyor.
TAHLİYELER PERŞEMBE BAŞLAYACAK
Hükümet, kasırgadan kaçmak isteyen vatandaşlar için uçuşların perşembe günü başlayacağını açıkladı.
Şiddetli rüzgarlar cadde ve sokakları göle çevirirken, birçok binanın çatısı da zarar gördü.

"ŞU AN CESUR OLMANIN ZAMANI DEĞİL"
Jamaika Yerel Yönetim Bakanı Desmond McKenzie, halkı sığınaklara gitmeleri konusunda uyararak, “Şu anda cesur olmanın zamanı değil. Melissa’ya karşı risk almak ölümcül olabilir” dedi.

KÜBA'DA TAHLİYELER BAŞLADI
Öte yandan Küba’nın doğusundaki Holguin eyaletinde yetkililer, 200 binden fazla kişiyi tahliye etmeye başladı.
Küba Başbakan Yardımcısı Eduardo Martinez, kasırgayı “Eşi benzeri görülmemiş ve çok tehlikeli bir durum” olarak nitelendirdi.
Melissa Kasırgası’nın gece saatlerinde Küba’ya, yarın ise Bahamalar’a ulaşması bekleniyor. Bu süreçte kasırganın kategori 2 seviyesine düşeceği tahmin ediliyor.

