- Bazı balık türleri, doğal toksinler, hatalı muhafaza veya çevresel kirleticiler nedeniyle sağlık riski oluşturuyor.
- Balon balığındaki tetrodotoksin ve resif balıklarındaki ciguatoksin gibi toksinler ciddi tehlikeler yaratabilir.
- Ayrıca, ton ve uskumru gibi balıkların yanlış saklanması histamin birikmesine ve çeşitli sağlık sorunlarına yol açabilir.
Her balık sağlıklı değil...
Balık; protein, omega-3 yağ asitleri ve mineraller açısından zengin bir besin olarak sofralarda yer alıyor. Ancak her balık türü güvenli değil.
Doğal olarak toksin taşıyanlar, yanlış muhafaza sonucu zehirlenmeye yol açanlar ve çevresel kirleticilerden dolayı risk oluşturanlar tüketiciler için ciddi tehlike yaratıyor.
ÇİĞ VEYA AZ PİŞMİŞ BALIKLAR DA PARAZİT TAŞIYABİLİR
Zehirlenmelerin temel sebepleri üç ana grupta toplanıyor:
Doğal toksinler: Balon balığı gibi balıkların bünyesinde bulunan güçlü nörotoksinler veya resif balıklarında görülen ciguatoksinler.
Hatalı muhafaza: Uygun soğuk zincir sağlanmadığında histamin birikmesiyle zehirlenmeler ortaya çıkıyor.
Çevresel kirleticiler: Denizlerdeki civa kirliliği, uzun ömürlü yırtıcı balıklarda yoğunlaşıyor ve özellikle hassas gruplar için risk oluşturuyor.
Ayrıca çiğ veya az pişmiş balıkların parazit taşıyabilmesi de göz ardı edilmemesi gereken bir başka sorun.
İşte tüketim açısından en riskli balık türleri...

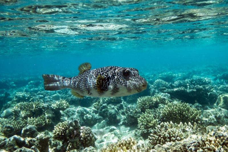
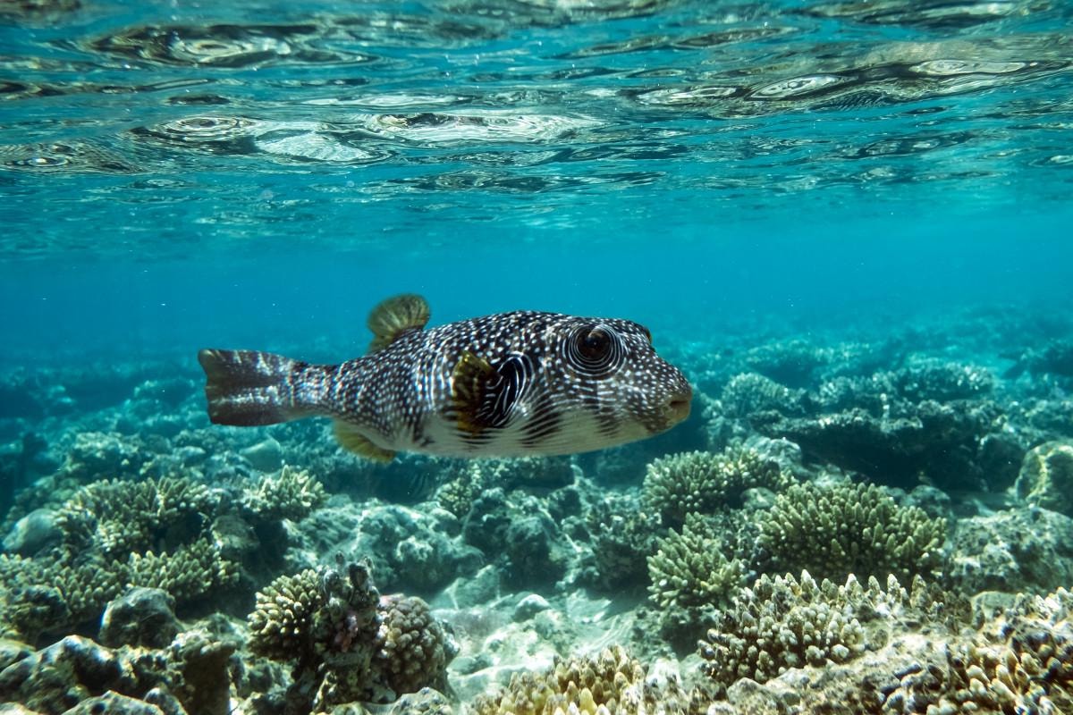
1. BALON BALIĞI
Balon balığı, tetrodotoksin adlı güçlü bir zehir içeriyor. Bu madde ısıya ve dondurmaya dayanıklı olduğu için pişirme veya dondurma ile yok olmuyor.
Çok küçük miktarı bile felce ve solunum durmasına yol açabiliyor.
Japonya’da yalnızca özel eğitimli şeflerin hazırlamasına izin veriliyor, pek çok ülkede ise satışı bulunmuyor.

2. BÜYÜK MERCAN RESİFİ BALIKLARI
Tropik resif balıkları, mercanlarda yaşayan mikroalglerin ürettiği ciguatoksinleri bünyelerinde biriktiriyor.
Bu toksin mide bulantısı, kusma, ishal gibi sindirim sorunlarının yanı sıra uzun süreli nörolojik etkiler de yapabiliyor.

3. SCOMBROİD ZEHİRLENMESİNE YOL AÇAN TÜRLER
Ton ve uskumru gibi türlerde, balık avlandıktan sonra yeterli soğutma sağlanmazsa histamin birikiyor.
Histamin pişirmeyle yok olmuyor. Yüz kızarması, baş ağrısı, mide bulantısı ve alerjiye benzer belirtiler kısa sürede ortaya çıkabiliyor.

4. ESCOLAR/ OİLFİSH
Escolar ve bazı oilfish türleri, sindirilemeyen yüksek miktarda yağ (wax ester) içeriyor.
Zehirli olmasa da, tüketimden kısa süre sonra yağlı ishal ve sindirim sorunlarına yol açabiliyor.

5. YÜKSEK CIVA İÇEREN BÜYÜK YIRTICI BALIKLAR
Uzun ömürlü ve üst besin zincirindeki balıklarda civa yoğunlaşıyor.
Yüksek cıva, özellikle gebelerde ve çocuklarda sinir sistemi gelişimini olumsuz etkiliyor.

6. ÇİĞ VEYA AZ PİŞMİŞ DENİZ ÜRÜNLERİ
Çiğ balık veya kalamar gibi ürünler, parazit larvaları taşıyabiliyor.
Bu parazitler, bağırsaklara yerleşerek şiddetli karın ağrısı ve alerjik reaksiyonlara yol açabiliyor.
