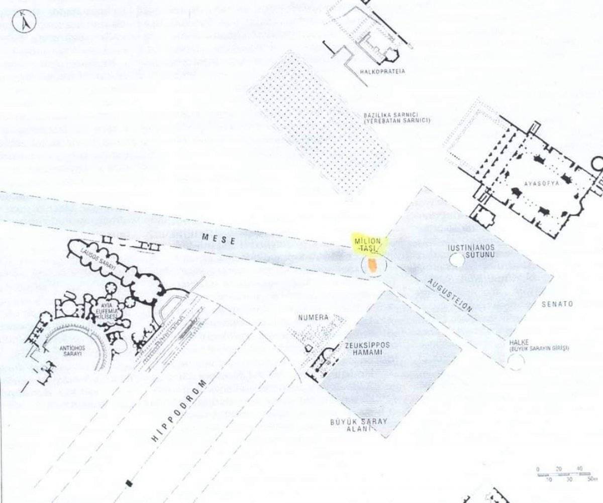
İstanbul’da Yerebatan Sarnıcı’nın giriş kısmının yakınında bulunan ve bugüne kadar birçok kişinin fark etmeden yanından geçtiği Milyon Taşı’nın tarihi özelliği bilenleri şaşırtıyor.
Roma İmparatoru I. Konstantin tarafından 4'üncü yüzyılda diktirilen sütun İstanbul’a ulaşan Antik Roma yollarının başlangıç noktası ve dünyadaki diğer şehirlerin İstanbul’a olan uzaklıklarının hesaplanmasında kullanılan sıfır noktasıydı.
Dolayısıyla dünyada birçok ülke, saatlerini İstanbul’a göre ayarlardı. Hatta haritalar bu nokta esas alınarak hazırlanır ve yönler buraya göre bulunurdu.
MERİDYENİN KONUMU İSTANBUL’DAN İNGİLTERE’YE TAŞINDI
1884 yılında Washington’da Uluslararası Meridyen Kongresi adıyla düzenlenen toplantıyla sıfır meridyeninin konumu İstanbul’dan İngiltere’nin Greenwich Kasabası’na taşındı.
Dünyadaki bazı şehirlerin Milyon Taşı’na uzaklıkları şöyle belirlenmiştir:
“Lefkoşa 1846 kilometre, Bakü 1756 kilometre, Moskova 1757 kilometre, Mekke 2 bin 407 kilometre, Berlin 1740 kilometre, Amsterdam 2 bin 214 kilometre, Tahran 2 bin 40 kilometre, Roma 1377 kilometre, Paris 2 bin 258 kilometre, Şam 1488 kilometre, Tokyo 8 bin 954 kilometre ve Londra 2 bin 502 kilometredir.”

“GÜNÜMÜZE ERİŞMİŞ EN KIYMETLİ TAŞTIR”
Milyon Taşı’nın hikayesinin ‘Bütün yollar Roma’ya çıkar’ söylemiyle başladığını söyleyen tarih araştırmacısı Mehmet Dilbaz, “Bir sütun halinde kalmış olan bu küçük kaide aslında Konstantinopolis’ten günümüze erişmiş en eski ve en kıymetli taştır. Şehrin kurucusu İmparator I. Konstantin, kenti dünyanın kalbi olarak inşa ettirdiğinde o döneme kadar imparatorluk başkenti olan Roma'yı Konstantinapolis'te taşıdı ve kendi adını verdiği şehirde bir merkez noktası tespit ettirdi. Bu merkez noktasına dört tarafa doğru heykellerin bulunduğu güzel harika bir yapı yaptırdı ve bu esere de milyon noktası denilirdi.” ifadelerini kullandı.

“DÜNYANIN BAŞLANGIÇ NOKTASI”
İmparator Konstantin’in şehrin merkezine bu anıtı diktirdiğinde artık ‘Her yol Roma'ya çıkar’ tabirinin kaynağının İstanbul olduğunu söyleyen Dilbaz, “Buradaki anıt ve kaide zamanla harap oluyor. 1204’teki Latin işgalinde anıt üzerindeki heykeller zarar görüyor. Osmanlı'nın son döneminde de hemen kaidenin yan tarafında bulunan çeşmenin su yollarının ve su terazisini inşaatıyla elimizde şu an sadece bir tane sütun kalıyor. İmparator Konstantin bu taşı anıt taşı İstanbul’a Kudüs'ten getirtmiştir ve 'Milyon Taşı' olarak bilinen bu sütuna Hz. İsa'nın dokunduğuna inanılır. Konstantin, Hristiyanlar için son derece önemli ve kutsal bir taşı buraya getirip dikerek imparatorluğun merkezini bu şekilde tescillemiş oldu. Dolayısıyla bütün yollar Roma'ya çıkar tabirinde ki kullandığımız 'Roma' tabiri aslında İtalya'nın başkenti olan Roma değil, İstanbul’daki Milyon Taşı’dır. 1884 yılında Amerika'da alınan karara kadar, dünyanın başlangıç noktası olarak Milyon Taşı kabul ediliyordu.” dedi.

